Surrounded by restless seas and shifting fault lines, the Philippines lives in constant dialogue with disaster. The Philippines is among the most disaster-prone countries globally, facing a convergence of environmental hazards such as typhoons, floods, maritime accidents, and the impacts of climate change. Its geographical location in the typhoon belt and the Pacific Ring of Fire exposes it to natural disasters that cause significant loss of life, property, and damage to infrastructure.
Maritime disasters frequently occur in its archipelagic waters, with high-risk zones concentrated near population centers, accentuating the urgency for improved maritime safety and disaster preparedness (Cadun et al., 2025).
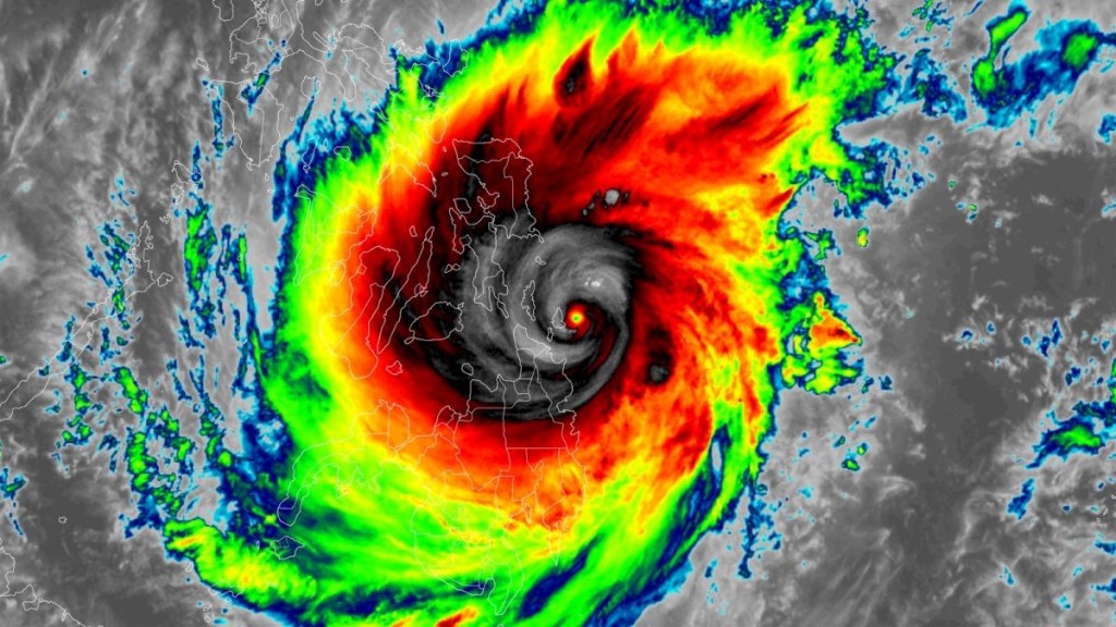
Typhoon Haiyan, locally known as Yolanda, epitomizes the intensity of natural disasters in the Philippines. It was the strongest typhoon ever recorded in the western North Pacific region, leaving millions affected, causing massive destruction, and revealing the critical need for resilient infrastructure and disaster response mechanisms (World Health Organization, 2015). The storm surge and flooding associated with Haiyan devastated coastal communities and agricultural lands, compounding the socio-economic impacts of the disaster (Lane et al., 2016).

Photo from Wikimedia Commons (CC BY-SA)
Moreover, climate change exacerbates these disaster risks by increasing the frequency and severity of weather-related hazards. Studies in urban areas such as Iligan City indicate that flooding, natural disasters, and environmental degradation are becoming more prevalent, necessitating nature-based solutions and community engagement for climate resilience (Tongco et al., 2024). The interplay of environmental degradation, such as deforestation linked to mining activities, and climate-induced droughts creates compounded vulnerabilities for rural populations (Villanueva & Bautista, 2012).
Addressing the identification and management of disaster victims, mitochondrial DNA analysis of dental remains has proven effective for individual identification, aiding recovery and forensic investigations during disasters (Reyes et al., 2024). This scientific approach complements the country’s ongoing efforts to improve disaster preparedness and response through legislative policies and community awareness programs, especially in education and occupational safety concerning mining hazards (Rosales & Santiago, 2022).

Photo from Wikimedia Commons (CC BY-SA)
The Philippine government continues to prioritize disaster risk reduction and capacity building, investing in real-time flood forecasting and structural mitigation measures such as dikes and retaining walls. These interventions are crucial to safeguarding communities and infrastructure from the increasing threat of extreme weather events (Delgado et al., 2016). Enhancing awareness, preparedness, and resilience remains essential to reducing the human and economic toll of natural disasters in the Philippines.
About the Author
Lian Jazmine P. Celso is a college student whose academic writing focuses on disaster risk reduction, climate resilience, and public safety in the Philippine context.
References
Cadun, M. J. M., Toledo, L. C., & Bautista, A. J. (2025). Spatial analysis of maritime disasters in the Philippines: Distribution patterns and identification of high-risk areas. ISPRS International Journal of Geo-Information, 14(1), 31.
https://doi.org/10.3390/ijgi14010031
Delgado, E. M., Gabunada, F., & Marquez, L. J. (2016). Identification of storm surge vulnerable areas in the Philippines through the simulation of Typhoon Haiyan-induced storm surge levels over historical storm tracks. Natural Hazards and Earth System Sciences, 15, 1473–1491.
https://doi.org/10.5194/nhess-15-1473-2015
Lane, S., Eisma-Osorio, R., & Montefalcon, A. (2016). Typhoon Haiyan’s sedimentary record in coastal environments of the Philippines and its palaeotempestological implications. Natural Hazards and Earth System Sciences, 16, 2799–2809.
https://doi.org/10.5194/nhess-16-2799-2016
Reyes, A. L., Cruz, M. R., & Santos, P. F. (2024). Mitochondrial DNA analysis of teeth for identification of natural disaster victims in Manila, Philippines. Scientific Journal of Forensic Medicine, 8(2), 124–135.
Rosales, P. Q., & Santiago, R. D. (2022). Occupational safety, best practices, and legislative review on small-scale mining in the Philippines. Acta Medica Philippina, 56(1), 15–27.
https://doi.org/10.47895/amp.v56i1.3886
Tongco, C. R., Albarillo, F. R., & de Guzman, A. D. (2024). Building urban climate resilience: Assessing awareness, perception, and willingness regarding nature-based solutions and climate change among stakeholders in Iligan City, Philippines. Urban Science, 8(2), 53.
https://doi.org/10.3390/urbansci8020053
World Health Organization. (2015). Responding to Typhoon Haiyan in the Philippines. Western Pacific Surveillance and Response Journal, 6(4), 1–12.





